Kursy walut NBP: USD 3,98 | EUR 4,32 | CHF 4,53 |

Jesteśmy członkiem:           

Wyszukiwarka
Notes
Zgłoś ofertę
Kalkulator
zgłoś ofertę
Mieszkania
Domy
Działki
Lokale
Obiekty
Szczegóły oferty
Rodzaj oferty
działka rolna ( sprzedaż )
Numer oferty
429262
Miejscowość
STARGARD
Cena
260 000 PLN kalkulator
Cena za mkw
185,71 PLN mkw
Powierzchnia
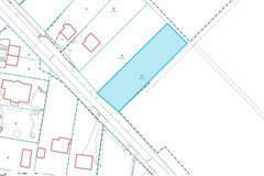
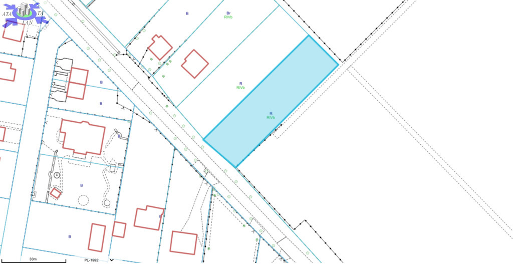
1400.00 m2
Droga dojazdowa
asfaltowa
Opis

Zapraszam do oferty działki znajdującej się na ulicy Na Grobli w Stargardzie.
Urocze miejsce z dala od zgiełku miasta....
JEDNOCZEŚNIE - odległość do centrum Stargardu to tyko 3 min jazdy samochodem.


Na działkę wydane zostały warunki zabudowy pod budownictwo jednorodzinne.
Przez część działki przechodzi linia energetyczna niskiego napięcia.


ATUTY DZIAŁKI

dojazd drogą utwardzoną - asfaltową powierzchnia 1400mkw kształt działki prostokątny, na płaskim, równym terenie wokół zabudowa jednorodzinna oraz rodzinne ogródki działkowe
MEDIA

- wszystkie główne sieci usytuowane przy działce i w drogach głównych

sieć energetycznasieć wodociągowasieć kanalizacyjnasieć gazowa
LOKALIZACJA

- dojazd drogą asfaltową
- graniczy z rodzinnymi ogródkami działkowymi
- dostęp do komunikacji miejskiej - Autobus MPK STARGARD


Zapraszam do kontaktu oraz prezentację miejsca.


Dodatkowe informacje: media - prąd, media - gaz, media - woda

Kontakt do agenta

Atalanta Nieruchomości
Marii Konopnickiej 32
71-132 Szczecin
tel.: 914875042
email: info@atalanta.szczecin.pl
fax: 914875031

Wyślij zapytanie

Imię i Nazwisko
Telefon
E-mail
Treść zapytania

Wyrażam zgodę na przetwarzanie moich danych osobowych przez firmę dla celów związanych z działalnością pośrednictwa w obrocie nieruchomościami, jednocześnie potwierdzam, iż zostałem poinformowany o tym, iż będę posiadać dostęp do treści swoich danych do ich edycji lub usunięcia.

Wyślij ofertę

E-mail
© 2025 Atalanta Nieruchomości. Wszystkie prawa zastrzeżone.