Kursy walut NBP: USD 3,98 | EUR 4,32 | CHF 4,53 |

Jesteśmy członkiem:           

Wyszukiwarka
Notes
Zgłoś ofertę
Kalkulator
zgłoś ofertę
Mieszkania
Domy
Działki
Lokale
Obiekty
Szczegóły oferty
Rodzaj oferty
działka budowlana ( sprzedaż )
Numer oferty
425908
Miejscowość
STARE CHRAPOWO
Cena
449 000 PLN kalkulator
Cena za mkw
232,16 PLN mkw
Powierzchnia
1934.00 m2
Droga dojazdowa
asfaltowa
Opis
Serdecznie zapraszam do zapoznania się z nową ofertą sprzedaży działki w Starym Chrapowie!
Nieruchomość o powierzchni 1934m2 znajduje się w cichej, spokojnej i zielonej okolicy.
Na działce obecnie znajduje się zabudowa - jest to stodoła o powierzchni ok. 160m2.

Dla tego gruntu obowiązuje Miejscowy Plan Zagospodarowania Przestrzennego, w którym działka przeznaczona jest pod zabudowę mieszkaniową jednorodzinną
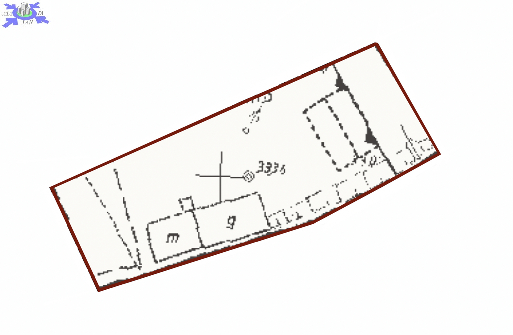
* nieprzekraczalna linia zabudowy - oznaczona na zdjęciu w ofercie
* wysokość zabudowy - do dwóch kondygnacji naziemnych (druga w poddaszu) - max 9m
* powierzchnia zabudowy - do 20% powierzchni działki
* powierzchnia biologicznie czynna - do 70% powierzchni działki

Działka posiada bezpośredni dostęp do drogi publicznej - droga asfaltowa, jest w kształcie zbliżonym do prostokąta o wymiarach ok. 25x72m - wymiary orientacyjne.

Dostępne media
* prąd - na działce podłączony z możliwością na 2 domy (po 22kW)
* woda - studnia aktualnie jest na działce + w drodze jest wodociąg
* kanalizacja - szambo szczelne

*oferta na wyłączność*

Serdecznie polecam i zapraszam na prezentację w terenie!

Dodatkowe informacje: media - prąd, media - woda

Kontakt do agenta

Atalanta Nieruchomości
Marii Konopnickiej 32
71-132 Szczecin
tel.: 914875042
email: info@atalanta.szczecin.pl
fax: 914875031

Wyślij zapytanie

Imię i Nazwisko
Telefon
E-mail
Treść zapytania

Wyrażam zgodę na przetwarzanie moich danych osobowych przez firmę dla celów związanych z działalnością pośrednictwa w obrocie nieruchomościami, jednocześnie potwierdzam, iż zostałem poinformowany o tym, iż będę posiadać dostęp do treści swoich danych do ich edycji lub usunięcia.

Wyślij ofertę

E-mail
© 2025 Atalanta Nieruchomości. Wszystkie prawa zastrzeżone.