Kursy walut NBP: USD 3,98 | EUR 4,32 | CHF 4,53 |

Jesteśmy członkiem:           

Wyszukiwarka
Notes
Zgłoś ofertę
Kalkulator
zgłoś ofertę
Mieszkania
Domy
Działki
Lokale
Obiekty
Szczegóły oferty
Rodzaj oferty
działka budowlana ( sprzedaż )
Numer oferty
425788
Miejscowość
STARE CHRAPOWO
Cena
165 480 PLN kalkulator
Cena za mkw
120 PLN mkw
Powierzchnia
1379.00 m2
Droga dojazdowa
utwardzona
Opis
Zapraszamy do zapoznania się z naszą nową ofertą sprzedaży kompleksu działek w Starym Chrapowie!
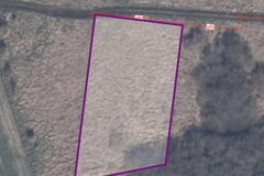
Przedmiotem tej oferty jest działka zlokalizowana w cichym i spokojnym miejscu o powierzchni 1379m2.

Kształt działki zbliżony do trapezu, wymiary ok. 28m x 54m.
Oferowana działka na zdjęciu została oznaczona literą "E".
Działka posiada oznaczenie grunty orne - ŁIV.

Nieruchomość zlokalizowana jest w kompleksie 8 działek - wszystkie z nich uzyskały warunki zabudowy na domy jednorodzinne wolno stojące.

*zabudowa jednorodzinna wolnostojąca*
- powierzchnia zabudowy - 25% powierzchni działki
- wysokość zabudowy - do 9m
- dachy dwu lub wielospadowe
- budowa studni głębinowej
- szambo lub ekologiczna oczyszczalnia

Nieruchomości mają zapewniony dostęp do drogi publicznej, poprzez wewnętrzną drogę dojazdową.

Przy działkach znajduje się ujęcie prądu.

Cicha i spokojna okolica - bardzo dużo zieleni.

MOŻLIWOŚĆ ZAKUPU INNEJ DZIAŁKI W TYM KOMPLEKSIE - WIDOCZNE NA ZDJĘCIACH - 120zł/m2
Dostępnych jest łącznie 8 działek z wydanymi warunkami zabudowy oznaczone jako "A"-"H" (1364m2 1214m2 1174m2 1185m2 1379m2 1286m2 1259m2 oraz 1259m2).

Serdecznie polecam i zapraszam na prezentację w terenie!

Dodatkowe informacje: media - prąd

Kontakt do agenta

Atalanta Nieruchomości
Marii Konopnickiej 32
71-132 Szczecin
tel.: 914875042
email: info@atalanta.szczecin.pl
fax: 914875031

Wyślij zapytanie

Imię i Nazwisko
Telefon
E-mail
Treść zapytania

Wyrażam zgodę na przetwarzanie moich danych osobowych przez firmę dla celów związanych z działalnością pośrednictwa w obrocie nieruchomościami, jednocześnie potwierdzam, iż zostałem poinformowany o tym, iż będę posiadać dostęp do treści swoich danych do ich edycji lub usunięcia.

Wyślij ofertę

E-mail
© 2025 Atalanta Nieruchomości. Wszystkie prawa zastrzeżone.